Как обнаружить 6 распространенных вредителей комнатных растений и безопасно их уничтожить

Как обнаружить 6 распространенных вредителей комнатных растений и безопасно их уничтожить
Как обнаружить 6 распространенных вредителей комнатных растений и безопасно их уничтожить

Забудьте об этих надоедливых жуках навсегда.

Независимо от того, выращиваете ли вы пару африканских фиалок, ухаживаете за фиговым деревом или у вас целый дом тропических растений, вы знаете, что регулярный уход поможет сохранить все ваши комнатные растения здоровыми и счастливыми. Но, несмотря на вашу осторожность, ваш внутренний сад может время от времени заражаться насекомыми или клещами. Несколько жуков не причинят большого вреда, но если их не лечить, они могут размножиться и превратить ваше любимое растение в горшке в уродливый беспорядок или даже убить его. Но не паникуйте. С большинством распространенных вредителей комнатных растений можно справиться с помощью нескольких простых приемов и терпения.

мучнистый жук
мучнистый жук

«При борьбе с насекомыми-вредителями комнатных растений первым делом нужно спросить себя, насколько вы цените это растение», - говорит Лора Джесси Айлс, директор Клиники диагностики растений и насекомых Университета штата Айова. «Нет быстрых решений, и для борьбы с вредителями потребуются время и самоотверженность».

Если вы решили лечить зараженное растение, а не выбрасывать его, Айлес рекомендует изолировать его, чтобы предотвратить распространение проблемы на другие ваши растения. Вот как можно избавиться от самых распространенных вредителей комнатных растений, которых вы можете встретить.

весы насекомых на зеленом листе
весы насекомых на зеленом листе

1. Весы

Чешуйки - мягкотелые насекомые, высасывающие сок растений. Крошечные гусеницы (неполовозрелая стадия) мало двигаются во время кормления. Взрослые особи покрывают себя восковым защитным покрытием и остаются на месте, так что вы можете даже не распознать маленькие белые или коричневые шишки как жуков. Чешуйки чаще всего встречаются на нижней стороне листьев и на стеблях, хотя иногда они появляются и на верхней поверхности листьев. Хотя они могут питаться множеством различных комнатных растений, чешуйки особенно любят цитрусовые деревья, плющ и инжир.

Пораженные чешуйками листья могут пожелтеть или опадать, а стебли отмирать. Клопы также производят липкое вещество, называемое медвяной росой, которое они оставляют на вашем растении. Помимо беспорядка, сладкий остаток может привлечь муравьев, плюс на нем часто развивается черный грибок, называемый сажной плесенью. (Плохой вид.)

Как контролировать весы

Распылите на растение инсектицидное мыло (10 долларов, The Home Depot) или масло нима (11 долларов, The Home Depot), чтобы задушить ползучих насекомых. Взрослых труднее контролировать из-за их воскового покрытия. Аккуратно соскребите их ногтем. Если возможно, удалите сильно зараженные части растения, например старые листья. Регулярно проверяйте свое растение и счищайте все видимые чешуйки, пока заражение не исчезнет.

Мучнистые червецы на саговнике
Мучнистые червецы на саговнике

2. Мучнистые червецы

Мучнистые червецы похожи на чешуйки; они сапсосы, имеют восковой налет и делают росу. «Признаки заражения щитовкой или мучнистым червецом могут включать наличие восковых отложений на растении, черной сажистой плесени, которая растет на пади, производимой этими насекомыми, и (в зависимости от степени заражения) иногда пожелтение и отмирание листьев и искаженный или замедленный рост растений», - говорит Наталья фон Элленридер из отдела диагностики вредителей растений Департамента сельского хозяйства Калифорнии. Самки мучнистого червеца производят белый хлопчатобумажный материал, в котором они откладывают яйца, из которых вылупляются гусеницы. Колеус, хойя, нефрит, гардения и пуансеттия особенно восприимчивы к мучнистому червецу.

Как бороться с мучнистым червецом

Ватным тампоном, смоченным в медицинском спирте, удалите мучнистых червецов. Для более крупных и крепких растений промойте листья сильной струей воды, чтобы избавиться от вредителей. Инсектицидное мыло и масло нима могут быть лучшим вариантом при сильном заражении.

паутинный клещ под листом
паутинный клещ под листом

3. Паутинные клещи

Паутинные клещи такие крошечные, что вы можете их даже не увидеть. Они выглядят как темные пятнышки на листьях, но вы, вероятно, сначала заметите их белые шелковистые паутины в пазухах листьев или вдоль жилок. Клещи высасывают сок из листьев, из-за чего они обесцвечиваются и опадают. Плющ, драцена, инжир, гибискус и шеффлера - вот некоторые из их любимых растений-хозяев.

Как бороться с паутинными клещами

Заражение клещами трудно контролировать. Если ваше растение сильно заражено, лучше избавиться от него до того, как вредители начнут распространяться. «Для паутинных клещей и чешуек раннее обнаружение проблемы и регулярный осмотр растений имеют большое значение», - говорит Келли Хэмби, профессор энтомологии в Университете Мэриленда. «Вы можете использовать некоторые из более простых способов удаления зараженных листьев, мытья их мыльной водой и измельчения." Повышение влажности вокруг растений также может помочь ограничить рост паутинного клеща.

Хлопковая белокрылка (Bemisia tabaci) взрослые особи и куколки на нижней стороне листа хлопка
Хлопковая белокрылка (Bemisia tabaci) взрослые особи и куколки на нижней стороне листа хлопка

4. Белокрылки

Эти крошечные крылатые насекомые имеют нежную, порошкообразную белую окраску. Неполовозрелая стадия почти не двигается, но взрослые особи трепещут, если их потревожить. Обе стадии высасывают сок растений, но наибольший вред наносит незрелая стадия, питающаяся с нижней стороны листьев. «Неполовозрелые белокрылки немного напоминают щитовок», - говорит Айлс. Зараженные листья желтеют и отмирают, растение часто останавливается в росте. Внимательно следите за ними, особенно за плющом, гибискусом и пуансеттией.

Как бороться с белокрылками

Инсектицидное мыло или масло нима поможет избавиться от белокрылки. «Обязательно наносите на нижнюю сторону листьев, где будут неполовозрелые стадии белокрылки», - говорит Айлес.«Лечение, вероятно, нужно будет проводить еженедельно, пока вы больше не увидите неполовозрелых или взрослых белокрылок».

крупным планом тли стебля растения
крупным планом тли стебля растения

5. Тля

Тля, еще один вредитель, сосущий сок, также производит липкую медвяную росу. Они могут поражать множество различных растений и особенно любят нежные молодые побеги, вызывая деформацию и увядание. Их жизненный цикл короткий (обычно две-три недели), поэтому популяция может быстро увеличиваться.

Как бороться с тлей

Сильная струя воды вытеснит большинство тлей. Либо вынесите растение на улицу, чтобы полить его из шланга (если не слишком холодно), либо используйте распылитель для душа. Также эффективны спреи с инсектицидным мылом или маслом нима.

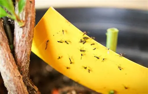
крупный план грибных комаров на желтой липкой бумаге, помещенной в основание комнатного растения
крупный план грибных комаров на желтой липкой бумаге, помещенной в основание комнатного растения

6. Грибные мошки

Хотя крошечные взрослые особи грибного комарика доставляют больше неудобств, чем вредителей, неполовозрелая стадия (личинки) питается корнями растений и может вызвать проблемы с ростом, особенно у молодых растений. «Грибные комарики часто являются симптомом чрезмерного полива», - говорит Хэмби.

Как бороться с грибными комарами

Позвольте поверхности почвы в горшках высохнуть между поливами. Не позволяйте воде застаиваться в блюдцах. Пропитка почвы биологическим инсектицидом Bacillus thuringiensis var. israelensis будет контролировать личинок. Желтые липкие ловушки помогут поймать взрослых особей.

Часто задаваемые вопросы

  • Какие естественные способы избавления от вредителей на комнатных растениях?

    Лучшие натуральные продукты, которые можно использовать для избавления горшечных растений от вредителей, - это 3 самодельных спрея. Смешайте один из этих рецептов в маркированном распылителе: 1 столовая ложка детского шампуня и 1 галлон воды; 1 стакан растительного масла, 2 столовые ложки средства для мытья посуды и 1 литр воды; или 2 чайные ложки корицы и 4 стакана теплой воды, заваренной на ночь. Другие варианты включают масло нима, медицинский спирт и липкую бумагу от мух.

  • Как быстро избавиться от вредителей на комнатных растениях?

    Самый быстрый способ избавить растения от вредителей, если их немного, - стереть их с листьев пальцами или тряпкой, смоченной в медицинском спирте. Однако, если заражение более обширное, удалите листья с наибольшим количеством жуков и распылите инсектицидное мыло на остальную часть растения.