Розы: советы по борьбе с тремя наиболее распространенными вредителями

Розы: советы по борьбе с тремя наиболее распространенными вредителями
Розы: советы по борьбе с тремя наиболее распространенными вредителями

Каждый, кто ухаживает за розами в саду, знает трех вредителей: крупную розовую тлю, розового пилильщика и цикадку. Если они сойдутся вместе, причин для паники поначалу нет. В течение примерно двух недель полезные насекомые, такие как златоглазки, божьи коровки, птицы и другие, узнают о новом корме и уничтожают вшей и других животных сами или вместе со своим потомством. А пока, как правило, достаточно стереть вредителей рукой, и стоит задуматься о том, что вызвало заражение. Неблагоприятное местоположение, или погодные условия, или избыток (!) удобрений, безусловно, способствуют заражению вредителями.

Важно знать

Пожалуйста, поясните, что классификация вредителей-полезных вредителей является только садоводческой, а не естественной. В достаточно экологически чистом саду между ними установится баланс и розам не будет нанесен серьезный ущерб. Обязательно создайте гнезда и укрытия для полезных насекомых.

Химические пестициды принципиально препятствуют сбалансированному соотношению вредителей и пользы, потому что они не только наносят прямой вред полезным насекомым, но и лишают их источников пищи, если их применять слишком рано. В долгосрочной перспективе они приносят больше вреда, чем пользы. Поэтому желательно смириться с несколькими поврежденными листьями и цветками, пока призрак не пройдет. Использование пестицидов должно быть только исключением и «последней мерой», когда ничто другое не помогает. Использование только полезных агентов - дело чести. Например, средства на основе масла нима эффективны против всех насекомых, упомянутых в этой статье.

Вредитель роз № 1: Большая розовая тля

Это насекомое с зоологическим названием Macrosiphon rosae имеет длину около трех миллиметров и зеленый или розовый цвет. Начальное заражение малозаметно, но очень быстро они в большом количестве оседают на молодых побегах и почках путем живорождения - минуя личиночную стадию - и ослабляют растение, высасывая сок растений. Как правило, достаточно раздеть пойманных животных. Осталось несколько, которые не наносят слишком большого ущерба и привлекают божьих коровок или златоглазок. Даже синицы и даже воробьи помогают держать вшей в страхе, поэтому вам не нужно ничего делать.

Тлю привлекают молодые, мягкие побеги. Если роза слишком затенена, побеги долго остаются мягкими, что способствует заражению.

Вредитель роз № 2: Розовый пилильщик

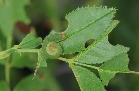
У розовых пилильщиков (Endelomyia aethiops и Allantus cinctus) слизнеобразные личинки длиной до двух сантиметров повреждают взрослые листья розы, проедая их через окна. Обычно они растут в двух поколениях с мая по июль. Их едят, например, птицы и златоглазки. Пораженные побеги и листья вырезают. С розовыми пилильщиками также можно бороться с помощью активного ингредиента нима.

Если лепестки розы скручиваются узко, значит, работает оса-свиток (Blennocampa pusilla). Борется с ним так же, как с пилильщиком.

Розовый пилильщик (Caliora aethiops)
Розовый пилильщик (Caliora aethiops)

Вредитель и личинка розового пилильщика (Caliora aethiops)

Вредитель розы № 3: Цикадка

Канцики - это насекомые соломенно-желтого цвета размером около трех миллиметров, которые даже будучи личинками оставляют светло-коричневые сухие зоны на листве. Взрослые особи напоминают тлей, но вскакивают, если их потревожить. Пауки, жуки-убийцы или различные жуки преследуют их и ограничивают ущерб. Лучше всего они обходят это с фланга, уничтожая зараженные части растений.

Прослушивание подкаста: Биологическая защита растений

Этот выпуск подкаста посвящен биологической борьбе с вредителями. В интервью с Николь Эдлер врач-растениевод и эксперт по садоводству Рене Вадас рассказывает о своих лучших способах домашних средств против всех видов вредителей в саду. Он также дает конкретные советы о том, как естественным образом бороться с такими вредителями, как тля, улитки или муравьи.