Зеленая роза: познакомьтесь с этим необычайно красочным сортом розового куста

Зеленая роза: познакомьтесь с этим необычайно красочным сортом розового куста
Зеленая роза: познакомьтесь с этим необычайно красочным сортом розового куста
зеленая роза
зеленая роза

Как известно, в царстве роз можно найти сорта многих цветов, даже двух- и трехцветные. Но,вы когда-нибудь видели зеленую розу? Хотите верьте, хотите нет, но розы такого цвета есть.

Далее мы провели расследование, чтобы рассказать вам, какова история этой зеленой розы и как она также присутствовала (и присутствует) в Испании. Хочешь с ней познакомиться?

Зеленая роза, существует ли она?

зеленые розы
зеленые розы

Скептически относиться к мысли о существовании зеленой розы - это нормально. Но правда в том, что это так. И это не что-то новое или несколько лет назад. На самом делебыл открыт в 1827 году и стал известен во всем мире в 1845 году. Но не будем забегать вперед.

Открытие зеленой розы было сделано Джоном Смитом в Соединенных Штатах. Дата та, которую мы вам назвали, 1827 год. На самом деле,эта зеленая роза называется вердифлора китайская роза (или роза виридифлора). Это была мутация, произошедшая от другой розы, Китайский старый румянец. Конечно, видимо уже были записи об этой странной розе с 1743 года

В 1845 году роза начала продаваться компанией Brambridge & Harrison. А спустя десять лет на Всемирной выставке в Париипроизвел фурор благодаря внешнему виду и, прежде всего, цвету «лепестков» (хотя на самом деле их нет).

Как поживает зеленая роза

Китайская роза 'Виридифлора'
Китайская роза 'Виридифлора'

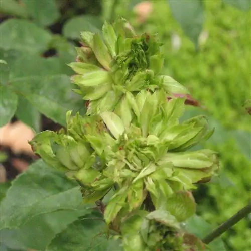
Вы хотите знать, на что похожа зеленая роза? Для начала, как вы, возможно, заметили, мы взяли слово «лепестки» в кавычки, потому что оно не иметь их. Собственно, это чашелистики с зубчатым краем и всего их около 48. Вот почему его часто путают с другими видами цветов. Они могут достигать около 5 сантиметров в диаметре. Они тоже ароматные, с определенным запахом перца. Время его цветения обычно с весны до осени, но в некоторых климатических условиях он способен цвести в течение всего года.

Кроме того, у них есть кое-что очень характерное, а именно то, что, хотя они начинаются зелеными, со временем (потому что они держатся дольше, чем другие розы)они меняют свой оттенок на красновато-коричневый.

Ствол полужесткий и довольно длинный. На самом деле он типичен не для розового куста, а скорее для горных растений, из-за чего его с ним и путают.

Листья ярко-салатовые и, будучи похожими по окраске на цветы, с первого взгляда их путают с листьями, из-за чего многие этого до сих пор не осознают приблизиться к этой красоте.

Как правило, розовый куст относится к кустарниковому типу и может иметь размеры от 60 до 120 сантиметров, а также около 90 сантиметров в диаметре. У него почти нет шипов, но те, что есть, не обычного цвета, а красного цвета.

Зеленая роза в Испании

зеленоватый кокон
зеленоватый кокон

Исследуя зеленую розу, мы обнаружили, что есть упоминания о ней (а также образец) в Сантомере, в Мурсии. Это единственная китайская роза вердифлора в Испании. И один из немногих в Европе или даже в США или Австралии.

Эта роза, кстати, бесплодная (все они, что подразумевает, что они не дают семян и всегда должны размножаться черенкованием), происходит с Всемирной выставки в Париже. Именно Хуан Мурсия Вильялонга привез это растение из Парижа в Испанию, а точнее в Сантомеру, Мурсия. Его внук, Клаудио, врач с мировым именем, был любителем природы, и именно он позаботился о розе. Кроме того, он создал ферму, на которой устроил «Сад дона Клавдио», ныне исчезнувший. Ноэта зеленая роза все еще жива. И это достаточно тяжело, чтобы терпеть так долго.

Важная информация

Мы не будем говорить вам, что найти зеленую розу легко. Совсем недешево. Но они существуют, и если у вас когда-нибудь будет возможность, знание заботы о них необходимо. Поэтому оставляем их здесь:

Местоположение и температура

Зеленая роза должна быть снаружи, то есть снаружи. Как и другие розовые кусты, этот также должен быть на полном солнце или, если вы живете в районе летом слишком жарко, в полутени, но с максимальным количеством непрямого солнечного света (и несколькими часами прямого солнечного света).

С точки зрения температуры он достаточно устойчив как к морозу, так и к жаре.

Подложка

Вы можете посадить зеленый куст роз как в горшок, так и в землю. Хотя он не требователен к используемому субстрату,рекомендуется использовать универсальный субстрат с добавлением перлита, чтобы почва была более насыщена кислородом.

Ирригация

Полив летом должен быть частым, так как в это время он больше всего страдает от жары (вплоть до ежедневного или раз в 1-2 дня). В остальные сезоны 1-2 раза в неделю будет более чем достаточно.

Подписчик

Хотя это и не требуется зеленой розе, вы можетевнести немного навоза ранней весной, чтобы восстановить часть питательных веществ, необходимых для цветения.

Еще один вариант - жидкие удобрения, смешанные с поливной водой.

Обрезка

После окончания цветениярекомендуется обрезать его, чтобы избавиться от увядших роз и сохранить форму. При этом вы добьетесь лучшего цветения.

Это нужно делать с октября по февраль.

Вредители и болезни

Rosa chinensis verdiflora не подвержена вредителям, более того, она более устойчива, чем другие розовые кусты. Однакос грибами могут возникнуть серьезные проблемы.

Они появятся, если им не будет обеспечен надлежащий уход, особенно освещение, питательные вещества и обрезка.

Есть еще зеленые розы?

Ну, хотите верьте, хотите нет, да. Зеленая роза, о которой мы вам рассказали, не единственная,есть еще две: Super Green и Wimbledon. Понятно, что зеленый цвет совсем другой, но у них есть окраска в том цвете, с разными оттенками, что и привлекает внимание.

Теперь они считаются скорее желтыми розами с зеленым оттенком, чем стандартом зеленого цветка.

Вы когда-нибудь видели зеленую розу? Хотите иметь такую в своем саду?