Клещ грушевой оспы

Клещ грушевой оспы
Клещ грушевой оспы

Что такое клещ грушевой оспы?

Вероятно, очень немногие слышали о клеще грушевой оспы, пока на вашем собственном грушевом дереве не проявились заметные симптомы. С вредителями можно бороться относительно легко, но их часто ошибочно принимают за грибковое заражение. Грушевый клещ (Eriophyes pyri, иногда также синоним Phytoptus pyri) относится к галловым клещам, вызывает деформацию листьев и предпочитает поражать грушевые деревья. Но также могут проявляться симптомы у белокрылки (Sorbus), боярышника (Crataegus) или яблони (Malus). Однако неясно, являются ли они просто подвидами грушевого клеща или это отдельные виды клещей. Экономический ущерб, причиняемый клещами грушевой оспы, обычно минимален или вообще отсутствует.

Как узнать клеща грушевой оспы?

Беловато-зеленые клещи имеют удлиненную червеобразную форму и, как это обычно бывает с галловыми клещами, имеют только две пары ног. Внешний вид на самом деле не столь важен, так как крохотных существ, размером не более 0,2 миллиметра, невооруженным глазом все равно не увидеть. Для этого требуется очень хорошее увеличительное стекло. Вредители всасывают ткани листьев вскоре после их прорастания, вызывая плоскую оспу на целых гроздьях - на верхней и нижней сторонах листьев. Эти больные листовые наросты вначале светло-зеленые, позже красноватые или коричневые до почти черных. Затем темные пятна можно спутать с грибковыми возбудителями, а точнее с грушевой паршой. Симптомы грушевой ржавчины ясны, она безошибочна. В конце концов, листовая оспа засыхает, а иногда целые листья скручиваются. Однако клещи также повреждают молодые побеги и даже плоды, так что при сильном заражении повреждается побегообразование груши.

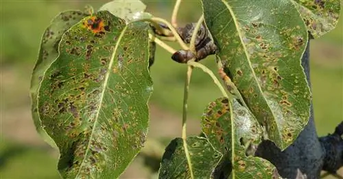
Листовая оспа на листе груши
Листовая оспа на листе груши

Одним из признаков грушевого оспы является пузырчатая оспа на листьях груши, которые сначала имеют зеленоватый, а затем коричневатый цвет

Образ жизни грушевого клеща

Грушевые оспы очень общительны и зимуют в приятных количествах до 50 особей под чешуей почек и, таким образом, могут немедленно заражать появляющиеся листья. Именно самки оживляют ткань листа, чтобы весной образовать оспу и отложить туда свои яйца. Вылупившиеся клещи заселяют оспу и всасываются внутрь этого жилища, пока, наконец, не покинут его через небольшое отверстие на нижней стороне листа, чтобы заразить дальнейшие, неповрежденные части листа, прежде чем участки листа отомрут. Пустая оспа со временем потемнеет. В течение лета появляется несколько поколений клещей, последнее из которых возвращается в почки для зимовки.

Как бороться с грушевым клещом?

Грушевые деревья очень хорошо справляются с небольшим заражением грушевым клещом, поэтому вам не нужно ничего делать с точки зрения защиты и контроля растений. Вполне достаточно, если вы сорвете зараженные листья как можно раньше. Это уже значительно снижает количество клещей, но, конечно, это работает только на небольших деревьях, где вы также можете добраться до листьев. Клещи хорошо защищены в зимующих почках, а также защищены от спреев, поэтому вы можете избавиться от них только с помощью спреев для прорастания незадолго до так называемой стадии «мышиного уха». Эти спреи герметично запечатывают листовые почки вместе с клещами, которые уже находятся в стартовых блоках, и эффективно борются с патогенами.

С клещами гнойной оспы можно бороться только с помощью утвержденных контактных агентов, если они подвижны, остаются вне почек и еще не проникли в галлы. Это также возможно только весной: опрыскивайте в начале года, пока листья прорастают, а затем еще дважды с интервалом в две недели. Однако опыт показал, что это необходимо только в случае ежегодных и тяжелых инвазий. Если провести весеннюю борьбу с грушевой паршой серосодержащими фунгицидами в те же сроки, это также хорошо повлияет на грушевого клеща.

Совет: даже если спрей классифицируется как безвредный для пчел, все равно не следует распылять его непосредственно на цветы.